
アクティブ・レンジャー日記 [近畿地区]
イベント告知「串本海中観察会」のお知らせ
2017年07月19日
熊野
環境省熊野自然保護官事務所アクティブ・レンジャーの岩田です。
恒例、夏休みイチ押しマリンレジャー「吉野熊野国立公園パートナーシップイベント 串本海中観察会」のご案内をさせていただきます。
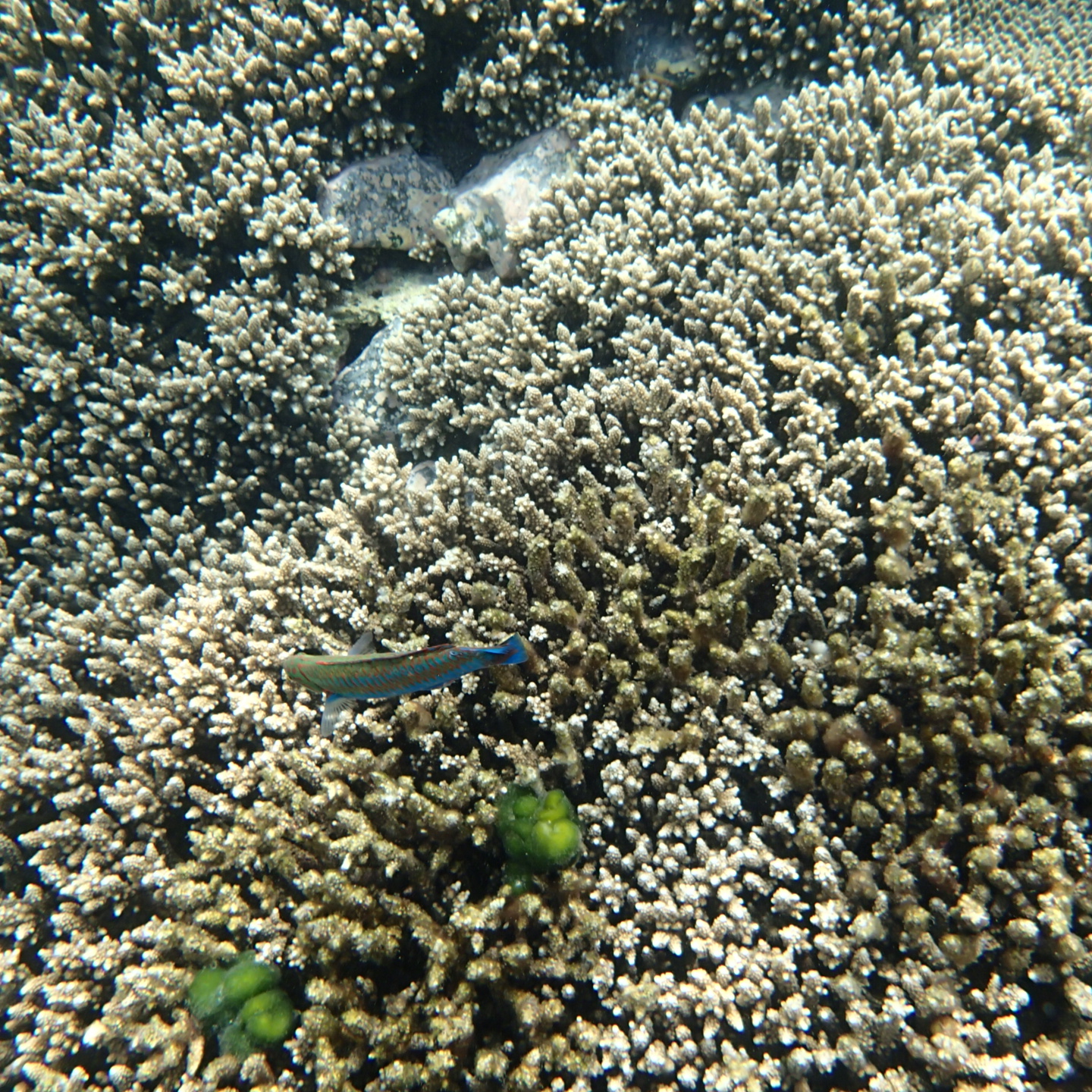
本州最南端に位置する和歌山県串本町では、スノーケリングで色とりどりのサンゴや熱帯魚をみることができます。美しい景色が広がる串本沿岸海域は吉野熊野国立公園の海域公園地区に指定され、ラムサール条約湿地にも登録されています。世界最北となるテーブルサンゴ群集の生態系や海の生き物について学び、自然環境への関心と理解を深めることを目的としたふれあい観察会で、毎年、和歌山県との共催で、串本海中公園センターや串本町のご協力を得て開催しております。
昨年は、残念ながら台風の影響で中止となりましたので、今年こそは皆様に楽しんでいただきたいと思います。
日程は8月21日(月)もしくは8月24日(木)です。申込期限は7月31日(月)までになっています。参加を希望される方はぜひお申し込みください。応募者多数の場合は抽選となります。現在、24日は若干余裕がある状況です。イベントの詳細や申込方法等はこちらからお願いいたします。
http://kinki.env.go.jp/to_2017/post_93.html
海中の生き物やサンゴ群集をスノーケリングで観察してみませんか?
いろいろな生き物に出会える海の世界に、きっと感動される事と思います。
ご家族での夏の思い出作りに皆さまのご参加をお待ちしております。
| チラシ |
![]() ![]() |
|
| サンゴ群集 |
![]() ![]() |
|
| 講師の説明を聞く(以前開催した時の様子) クマノミ |



