
アクティブ・レンジャー日記 [近畿地区]
海の中まで吉野熊野国立公園なのです
2024年05月09日 こんにちは、吉野熊野国立公園管理事務所の湊です。4月、5月は海も山もうっとりするぐらいきれいで、景観を楽しむなら私はこの時期を一番おすすめしています。昨年紹介(近畿アクティブ・レンジャー日記)しました、季語の「山笑う」が正にぴったりな時期で、私は、この時期のよしくまの山を「山光る」(ほんとにピカーって光って見えるんです!)と表現しています。
一方で海に目を向けると、思わず「うわーっ」とうなるような何とも言えない青い海が広がっていて、あっちもこっちも至るところが「山と海のコントラストがきれいな映えスポット」になります。

春の平見台園地から見た海岸線(太地町)
この景色は、この時期、天気さえ良ければ至る所で見られますが、今回は普段なかなか見ることが出来ない海の中を覗きに行ってきました。とは言っても、私はダイビングのライセンスを持っていないのと、スノーケリングするにもまだまだ寒いので、串本町にあります「串本海中公園センター」にお邪魔しました。
和歌山県のみなべ町から三重県大紀町までの大部分の沿岸域と沖合1kmまでが吉野熊野国立公園に指定されており、中でもサンゴ群集など確認される串本などは、たいへん重要な地区として部分的に海域公園地区に指定され、海の中も工作物の設置や動植物の採捕が規制されています。
串本海中公園は、1970年7月、日本で最初に指定された海中公園地区(注:現在の海域公園地区)で、色とりどりの熱帯魚、そして世界の北限と言われる本州最大のテーブルサンゴ(クシハダミドリイシ)の群集など美しい海中景観を一年中楽しむことができます。
また、2005年11月には、世界最北のサンゴ群集の価値が認められ、串本海中公園を含む串本沿岸海域がラムサール条約湿地として登録されました。
串本海中公園センターでは、串本の海を再現した水族館や海中展望塔が設けられており、同じ敷地内にダイビング施設「串本ダイビングパーク」も併設され、体験ダイビングなどのアクティビティも楽しめます。
水族館内では、串本の海にいる魚やサンゴ、ウミガメなど飼育展示されているので、串本の海を知るには十分ですが、さらに知見を深めたい方は、バックヤードツアーもお勧めです。

このように持つとカメの平手打ちを受けます

水族館コーナーの展示水槽の裏側です
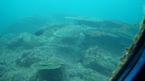
また、海中展望塔では、海の中を覗き見ることができます。

海中展望塔では、海の中が覗けます
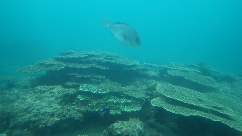
海中展望塔に入っていくと、なんと今回、我々は驚愕の光景を目の当たりにしました。まず目に飛び込んできたのは、見事なテーブルサンゴです。

見事なテーブルサンゴがお出迎え
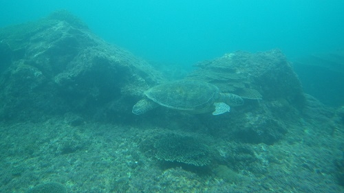
そして、次に目に飛び込んできたのは、なんと「アオウミガメ」。リアルに野生の「アオウミガメ」です。串本の海では、ダイビングでは、たまに確認できるそうですが、海中展望塔から見えるなんて、とてもラッキーです。

真ん中に見えるものは、置物ではありません

この後、どこかに行ってしまいました
他にも、着席したまま実際に潜っているような感覚で海中景観を楽しめる半潜水型海中観光船「ステラマリス」もあります。
様々な自然体験ができる魅力いっぱいな吉野熊野国立公園「串本エリア」にぜひお越し下さい。